AUCTION
SAT. JUNE 28 @ 10AM
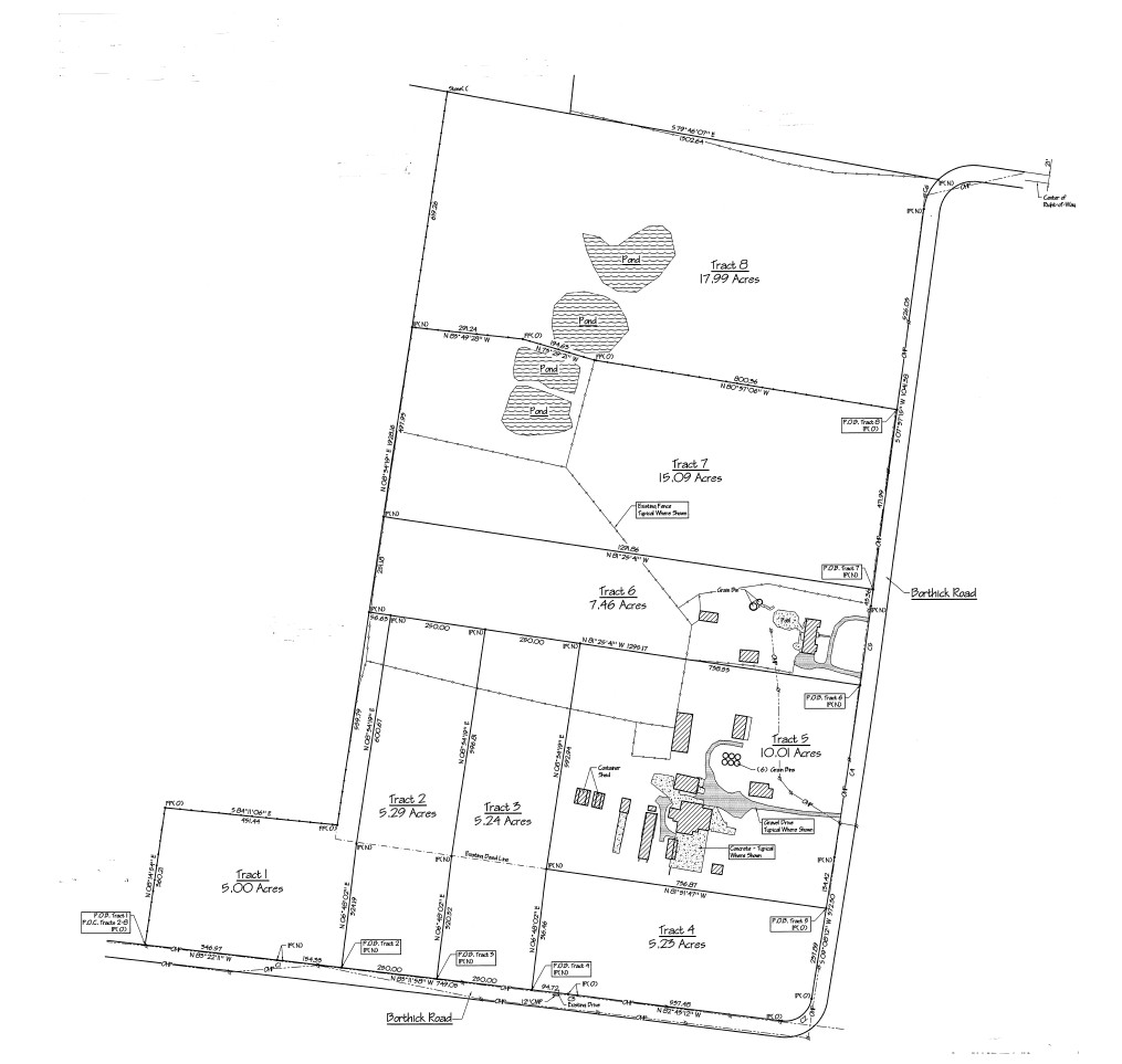
72+/- ACRES SELLING IN 8 TRACTS
EQUIPMENT – METAL – TRUCKS – TOOLS – 4 WHEELER & MUCH MORE
Tract 1: 5.00 Acres Tract 5: 10.01 Acres w/buildings
Tract 2: 5.29 Acres Tract 6: 7.46 Acres w/house-pool
Tract 3: 5.24 Acres Tract 7: 15.09 Acres w/ponds
Tract 4: 5.23 Acres Tract 8: 17.99 Acres w/ponds
Tract 6 House and Pool
Tract 5 – House and Shop Buildings
All tracts feature good road frontage and are suitable for building. Tract 5 features large shop buildings and concrete pad work areas. Tract 6 has a beautiful ranch brick home with pool.
TERMS: Real Estate – 15% down day of sale as non-refundable deposit for earnest money. Balance due in full at closing. Closing to be held within 30 days of sale date.
Personal Property includes: 2000 Mack CH6 Semi, 1985 INTL F75 Truck, 2013 Dodge Ram C45 (needs work), 1990 Jeep J53, 2006 GMC NK3 Truck, 1995 LOAD Tri-Axle Gooseneck Trailer, 2006 Gator GSN Tri-Axle Gooseneck Trailer, 1993 LANL 1LH Low Boy Trailer, Gator and Toro ATV (need work), Bad Boy Zero Turn Mower, Nissan 6000lb Forklift (Runs), Other non running forklifts, B9200 Kubota Tractor, Four Ft Rotary Cutter, 2006 Yamaha X17 Motorcycle, Much Metal Materials, Metal Storage Racks, Industrial Shelving, Bobcat (needs work), Bobcat attachments, 2021 CFMOTO CF600 ATV (like new!), tools and much, much more!
